Please assign a menu to the primary menu location under menu

Jean Pierre Hakim

Jean Pierre Hakim

لا ينفك المجرم ان يعود إلى مكان جريمته الأصلية، غير أنه في حالة قانون اللصوصية مثل نواب البرتقالي و غيرهم، وجرائم الاحتيال الفكري على قاعدته الشعبية الغافلة و الواثقة و المغشوشة

لا ينفك المجرم ان يعود إلى مكان جريمته الأصلية، غير أنه في حالة قانون اللصوصية مثل نواب البرتقالي و غيرهم،...

Jean Pierre Hakim

ما يميزنا كمجتمع مدني عن غيرنا اننا نتمتع برفاهية قادرون أن نتمسك بأخلاقياتنا وقيمنا ومبادئنا وبالتالي بموضوع عودة العلاقات مع نظام البعث المجرم القابع في سوريا وما قام به من انتهاكات لحقوق الانسان وغيرها لا نساوم عليه ببساطة “لأن مش مضطرين”

ما يميزنا كمجتمع مدني عن غيرنا اننا نتمتع برفاهية قادرون أن نتمسك بأخلاقياتنا وقيمنا ومبادئنا وبالتالي بموضوع عودة العلاقات مع...

Jean Pierre Hakim

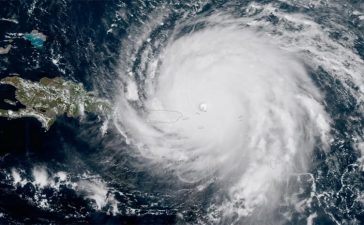
تناقل اللبنانيون في الساعات القليلة الماضية رسائل صوتية انتحل متكلمون فيها صفة “مدير مصلحة الارصاد الجوية”، محذرين الناس من ويلات “نورما”

تناقل اللبنانيون في الساعات القليلة الماضية رسائل صوتية انتحل متكلمون فيها صفة "مدير مصلحة الارصاد الجوية"، محذرين الناس من ويلات...

1 37 38 39 220
Page 38 of 220